Notio.
  • Inicio
  • Municipios
      • Back
      • Arroyo Seco
      • Landa de Matamoros
      • Jalpan de Serra
      • Peñamiller
      • Pinal de Amoles
  • Estatal
  • Nacional e Internacional
  • Ocio y Tecnologia

Estudiante de COBAQ obtiene medalla de oro en la XXXIII Olimpiada Nacional de Química

Detalles
Publicado: 29 Febrero 2024

El director general del Colegio de Bachilleres del Estado de Querétaro (COBAQ), León Enrique Bolaño Mendoza, felicitó al estudiante Gerardo Yahel Ángeles Reyes, del  plantel 5 Cadereyta, quien obtuvo medalla de oro en la XXXIII Olimpiada Nacional de Química, celebrada en Cuernavaca. Ahí aseguró que dicho resultado es representativo de la educación integral que el Colegio ofrece, y que lo ubica en el seleccionado de México para participar en la 56th International Chemistry Olympiad - IChO 2024, a celebrarse en Arabia Saudita.

Leer más…

Destacan universitarios en concurso de la NASA

Detalles
Publicado: 28 Febrero 2024

El equipo "Endurance", integrado por estudiantes  de la Ingeniería en Ciencia y Analítica de Datos y la Ingeniería de Software, de la Facultad de Informática (FIf) de la Universidad Autónoma de Querétaro (UAQ), obtuvo el tercer lugar nacional del desafío del Hackatón NASA International Space Apps Challenge Querétaro 2023, tras diseñar y desarrollar un asistente espacial con el uso de inteligencia artificial al que nombraron TARS.
 

Leer más…

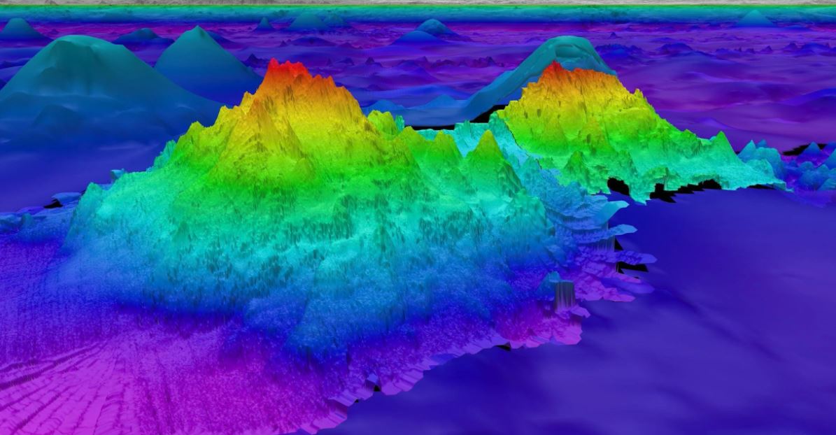
Descubiertas Montañas Subacuáticas del Doble de Altura del Burj Khalifa frente a la Costa Chilena

Detalles
Publicado: 28 Febrero 2024

En un hallazgo sorprendente, científicos chilenos han revelado la presencia de montañas subacuáticas ubicadas frente a la costa chilena, que alcanzan el doble de altura que el famoso rascacielos Burj Khalifa en Dubái. Este descubrimiento, anunciado por investigadores del Instituto Oceanográfico de Chile, ha generado un gran interés en la comunidad científica y el público en general.

Leer más…

Nuevo Medicamento Ofrece Protección contra la Congelación de Dedos de Manos y Pies

Detalles
Publicado: 27 Febrero 2024

Científicos han anunciado el desarrollo de un innovador medicamento que promete proteger eficazmente los dedos de las manos y los pies contra la congelación. Este avance representa una solución potencialmente crucial para quienes enfrentan condiciones extremas de frío, como aquellos expuestos a climas glaciales o involucrados en actividades al aire libre durante el invierno.

Leer más…

Acude Paloma Palacios a reunión de gobernadores en EEUU

Detalles
Publicado: 27 Febrero 2024

La titular de la Representación del Poder Ejecutivo del Estado de Querétaro en Ciudad de México, Paloma Palacios González, realizó una visita de trabajo en Washington D.C., con el objetivo de intercambiar experiencias con gobernadores de Estados Unidos en temas de educación, agricultura, salud pública y desarrollo económico.

Leer más…

Página 41 de 42

  • 33
  • 34
  • 35
  • 36
  • 37
  • 38
  • 39
  • 40
  • 41
  • 42

Sierra Gorda Online.

© Copyright 2010 por José Juan Durán Caballero. Todos los Derechos Reservados.
Arriba